Click acá para ir directamente al contenido

La Tierra se acerca al "caos climático" y sus signos vitales alcanzan niveles récord

El año 2024 fue el más caluroso en al menos 125.000 años, y 22 de 34 indicadores climáticos clave ya están en niveles récord, advierten científicos.

24horas.cl

EFE

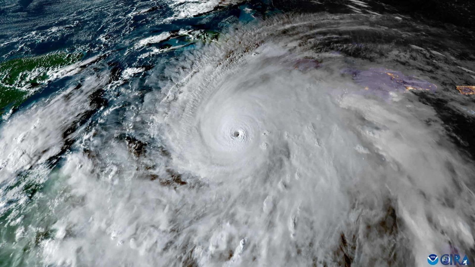
Huracán Melissa

Miércoles 29 de octubre de 2025

Las pruebas y las evidencias científicas de que la Tierra se acerca al "caos climático" son cada vez más contundentes y la mayoría de los 'signos vitales' que miden la salud del sistema ecológico y climático del planeta continúan empeorando y se encuentran ya en niveles récord.

El 2024 fue el año más caluroso registrado, y con mucha probabilidad el más caluroso de al menos los últimos 125.000 años, y los principales indicadores que revelan la salud de la Tierra -la concentración de gases de efecto invernadero, la temperatura global media, la extensión del hielo en los polos y los glaciares, la deforestación, la frecuencia e intensidad de los fenómenos extremos o la pérdida de biodiversidad- siguen mostrando una tendencia muy negativa.

Los datos se ponen de relieve en el informe sobre 'El Estado del Clima 2025', un estudio anual realizado por una coalición internacional que ha sido dirigido por científicos de la Universidad Estatal de Oregón y en el que han participado, entre otros centros y universidades de numerosos países, el Instituto Americano de Ciencias Biológicas y el Instituto Potsdam para la Investigación sobre el Impacto del Cambio Climático, de Alemania. Hoy publican los resultados en la revista BioScience.

“Sin estrategias eficaces, nos enfrentaremos rápidamente a riesgos cada vez mayores que amenazan con desbordar los sistemas de paz, gobernanza y salud pública y ecosistémica”, ha manifestado uno de los investigadores principales del estudio, el profesor en la Universidad Estatal de Oregón William Ripple , quien ha alertado de la "peligrosa" trayectoria en la que se han situado el planeta y la humanidad.

Soluciones para paliar los peores escenarios

El informe revela que 22 de los 34 signos vitales del planeta están ya en niveles récord, pero incide también en que no es demasiado tarde para limitar el daño incluso aunque no se alcanzara el objetivo de limitar el aumento de la temperatura que se estableció en el Acuerdo de París hace diez años, y en que la ciencia y las nuevas tecnologías han puesto ya sobre la mesa opciones y soluciones para paliar los peores escenarios.

Cada fracción de grado de calentamiento que se evita es importante para el bienestar humano y ecológico, han corroborado los investigadores en el informe, y han subrayado que retrasar la acción conllevará mayores costos e impactos más graves, mientras que medidas rápidas y coordinadas pueden generar beneficios inmediatos para las comunidades y los ecosistemas de todo el mundo.

Así, señalan que las fuentes de energía renovables como la solar y la eólica pueden suministrar hasta el 70 por ciento de la electricidad mundial en 2050; o que una rápida eliminación de los combustibles fósiles sería una de las mayores contribuciones a la mitigación del cambio climático.

También que la protección y la restauración de ecosistemas como bosques, humedales, manglares y turberas podría eliminar o evitar alrededor de 10 gigatoneladas de emisiones de dióxido de carbono al año para 2050, lo que equivaldría aproximadamente al 25 por ciento de las emisiones anuales actuales.

O que reducir la pérdida y el desperdicio de alimentos, que actualmente representa aproximadamente entre el 8 y el 10 por ciento de las emisiones globales de gases de efecto invernadero, y la transición hacia dietas más ricas en plantas, pueden reducir sustancialmente las emisiones, además de promover la salud humana y la seguridad alimentaria.

Mitigar es más barato que afrontar los impactos

El informe sobre el estado del clima revela que el pasado año el consumo de energía proveniente de combustibles fósiles alcanzó un máximo histórico; que el calor de los océanos y la pérdida de cubierta arbórea debido a los incendios forestales está también en máximos históricos; y que los desastres climáticos, mortales y costosos, han aumentado en 2024 y en 2025.

Y cita varios ejemplos: las inundaciones en Texas causaron la muerte de al menos 135 personas; los incendios forestales en Los Ángeles provocaron daños que superaron los 250.000 millones de dólares; y el tifón Yagi causó la muerte de más de 800 personas en el sudeste asiático.

Los científicos han incidido en el existen estrategias de mitigación del cambio climático, en que son rentables y urgentes, en que se puede limitar el calentamiento si se actúa con audacia y con rapidez, pero también en que "la ventana se está cerrando" y en que el costo de mitigar el cambio climático es mucho menor que los daños económicos globales que podrían causar sus impactos.

24 PLAY